Siêu bão Ragasa đang là tâm điểm chú ý của khu vực châu Á, với sức gió kinh hoàng lên đến cấp 16 – 17 và khả năng ảnh hưởng trực tiếp đến Biển Đông. Cách theo dõi diễn biến siêu bão Ragasa không chỉ giúp bạn nắm bắt thông tin thời gian thực mà còn hỗ trợ chuẩn bị ứng phó hiệu quả. Trong bài viết dưới đây, Siêu Thị Điện Máy – Nội Thất Chợ Lớn sẽ cung cấp chi tiết từ diễn biến mới nhất đến các ứng dụng đáng tin cậy.

Cách theo dõi diễn biến siêu bão Ragasa
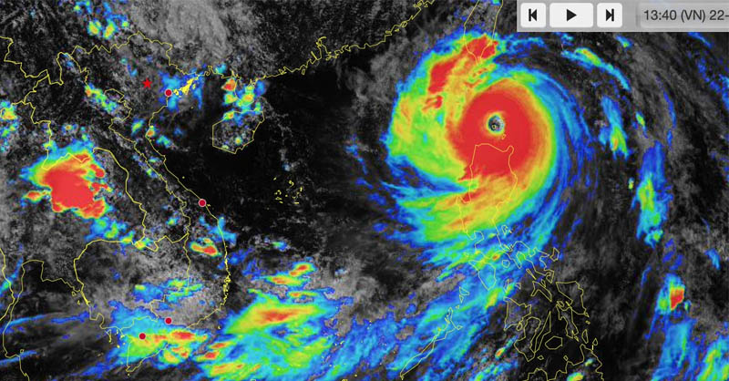
1. Diễn biến siêu bão Ragasa hôm nay
Vị trí hiện tại và sức gió:
Theo Trung tâm Dự báo Khí tượng Thủy văn Quốc gia, lúc 7h sáng ngày 23/9/2025, tâm bão Ragasa (cơn bão số 9) nằm tại khoảng 19.9° Vĩ Bắc, 118.3° Kinh Đông, cách bán đảo Lôi Châu (Trung Quốc) khoảng 860 km về phía Đông. Sức gió mạnh nhất ở vùng tâm bão đạt cấp 17 (tương đương 202 – 221 km/h), giật trên cấp 17 – mức độ siêu bão cực mạnh.
Hướng di chuyển ngắn hạn:
Trong 3 giờ tới, bão dự kiến di chuyển theo hướng Tây Tây Bắc với tốc độ khoảng 20 km/h, tiếp tục tiến gần hơn về phía các vùng ven biển Đông Nam Á.
Dự báo mưa lớn và rủi ro:
Từ đêm 24/9 đến ngày 26/9, khu vực Bắc Bộ, Thanh Hóa và Nghệ An sẽ có mưa to đến rất to với lượng mưa phổ biến 100 – 250 mm, cục bộ có nơi trên 400 mm. Cần đề phòng mưa lớn với cường suất cao gây ngập úng đô thị.
Các rủi ro tiềm ẩn bao gồm:
- Ngập úng tại các vùng trũng, thấp.
- Lũ quét trên sông suối nhỏ.
- Sạt lở đất trên các sườn dốc.
Người dân và chính quyền địa phương nên chuẩn bị ứng phó kịp thời, theo dõi cảnh báo liên tục để giảm thiểu thiệt hại.

Diễn biến siêu bão Ragasa hôm nay
2. Cách theo dõi diễn biến siêu bão Ragasa
Để theo dõi diễn biến siêu bão Ragasa một cách dễ dàng và chính xác, bạn có thể sử dụng các công cụ trực tuyến và ứng dụng di động. Dưới đây là các phương pháp phổ biến nhất, dễ áp dụng ngay trên điện thoại hoặc máy tính:
Hệ thống Giám sát thiên tai Việt Nam (VNDMS)
Hệ thống Giám sát thiên tai Việt Nam (VNDMS) là công cụ chính thức từ Trung tâm Khí tượng Thủy văn Quốc gia, lý tưởng cho người dân Việt Nam muốn theo dõi bão theo góc nhìn địa phương. Khi truy cập tại https://vndms.dmc.gov.vn, bạn sẽ thấy giao diện bản đồ tương tác với dữ liệu đa nguồn như mưa, gió, mực nước sông, camera đê điều và giám sát tàu cá.
Cách sử dụng đơn giản: Chọn mục “Sự kiện thiên tai” ở thanh công cụ bên trái, sau đó nhấn vào “Siêu bão Ragasa” để xem thông tin tổng quan, dự báo đường đi và hướng dẫn ứng phó. Trên bản đồ, bạn có thể chọn mốc thời gian để xem vị trí tâm bão, khu vực ảnh hưởng (màu sắc chỉ cấp độ rủi ro), thiệt hại tiềm ẩn và tra cứu theo tỉnh/thành phố hoặc bán kính cụ thể.

Cách theo dõi diễn biến siêu bão Ragasa bằng VNDMS
Ngoài ra, hệ thống còn tích hợp dữ liệu từ trạm quan trắc, radar thời tiết và kết nối với hệ thống tỉnh (PDMS). VNDMS có ứng dụng di động miễn phí trên Android/iOS, giúp bạn nhận thông báo đẩy về cập nhật bão.
Ứng dụng Windy
Ứng dụng Windy là lựa chọn hàng đầu để theo dõi diễn biến siêu bão Ragasa nhờ giao diện trực quan và dữ liệu toàn cầu. Ra mắt từ năm 2014, Windy tổng hợp từ các mô hình khí tượng uy tín như ECMWF và GFS, cập nhật mỗi 6 – 12 giờ, hỗ trợ tiếng Việt đầy đủ.
Để bắt đầu, tải Windy miễn phí trên App Store (điện thoại iPhone) hoặc Google Play (điện thoại Android). Sau khi tải xong, bạn mở ứng dụng, màn hình mặc định hiển thị mặc định bản đồ gió – bạn chỉ cần zoom vào khu vực Biển Đông để thấy đường đi của Ragasa với mũi tên chỉ hướng di chuyển và màu sắc mã hóa tốc độ gió (xanh: nhẹ, đỏ: mạnh). Giữ ngón tay trên màn hình để xem chi tiết kinh độ, vĩ độ, lượng mưa dự báo.
Ngoài ra, ứng dụng còn cung cấp các tính năng khác như dự báo mưa sét, nhiệt độ, sóng,… Bạn chỉ cần nhấn vào menu và chọn thông tin muốn xem là xong. Nếu không muốn tải ứng dụng, bạn có thể truy cập web https://www.windy.com/ và xem diễn biến bão Ragasa như hướng dẫn là được.

Cách theo dõi diễn biến siêu bão Ragasa bằng ứng dụng Windy
Ứng dụng Zoom Earth
Zoom Earth nổi bật với hình ảnh vệ tinh trực tiếp, giúp bạn theo dõi diễn biến siêu bão Ragasa qua góc nhìn “trên cao”. Ứng dụng cung cấp dữ liệu thời gian thực từ vệ tinh Himawari-8, GOES và Meteosat, cập nhật mỗi 10 phút, có sẵn trên web (zoom.earth) và di động (Android/iOS).
Cách sử dụng: Chọn chế độ “Vệ tinh” hoặc “Bản đồ thời tiết”, tìm kiếm “Ragasa” hoặc zoom vào Thái Bình Dương. Bạn sẽ thấy đường đi dự báo (từ 3 giờ đến 1 ngày), tốc độ gió (mã màu từ xanh đến tím), áp suất và lượng mưa. Phóng to để xem chi tiết mây bão, sóng và khu vực ảnh hưởng cụ thể. Zoom Earth còn hỗ trợ xem lịch sử vệ tinh để so sánh diễn biến, rất tiện cho việc theo dõi sự thay đổi cường độ của siêu bão.

Cách theo dõi diễn biến siêu bão Ragasa bằng ứng dụng Zoom Earth
Hy vọng với cách theo dõi diễn biến siêu bão Ragasa mà Siêu Thị Điện Máy – Nội Thất Chợ Lớn vừa gợi ý, bạn sẽ cập nhật được tình hình cơn bão và luôn sẵn sàng ứng phó trước thiên tai. Hãy kết hợp các công cụ này với thông báo từ chính quyền địa phương để đảm bảo an toàn tối đa.
Trong thời đại số, một chiếc smartphone mạnh mẽ là “người bạn đồng hành” không thể thiếu để cập nhật thông tin kịp thời. Bạn đang tìm kiếm thiết bị di động đáng tin cậy để theo dõi thời tiết? Hãy ghé ngay Siêu Thị Điện Máy – Nội Thất Chợ Lớn để khám phá và sở hữu những mẫu điện thoại cao cấp với giá ưu đãi hấp dẫn.Đừng bỏ lỡ!

Để lại một bình luận